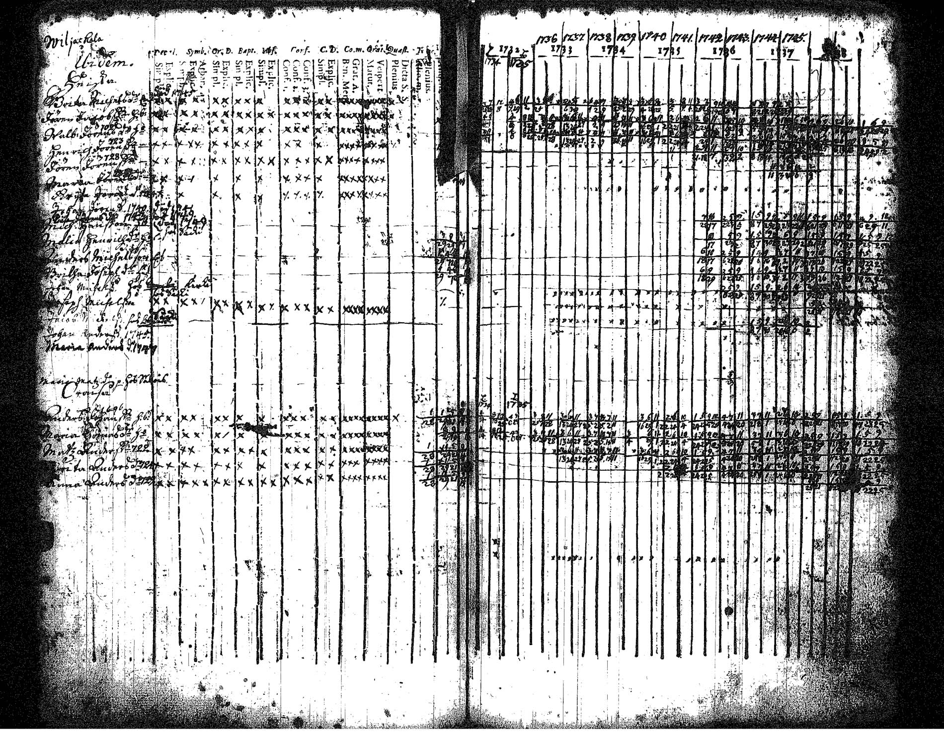
Hämeenkyrö , Rippikirja, 1732-1746 JK644 Kuva 146 Edellinen Seuraava

[ kuvat/146.jpg ]